Furacão Milton de Categoria 5 Ameaça a Flórida com Tempestade Histórica
Evacuações em massa e estado de emergência são decretados enquanto autoridades alertam para o impacto potencialmente devastador do furacão.
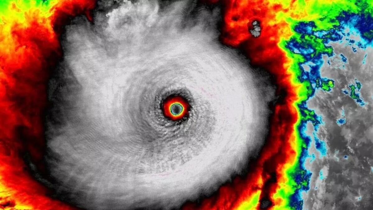
A NASA divulgou novas imagens impressionantes do furacão Milton nesta terça-feira (8), confirmando sua evolução para uma tempestade de categoria 5 na escala Saffir-Simpson, a mais alta e destrutiva. O furacão deve atingir a costa da Flórida na noite de quarta-feira (9), e as autoridades locais, junto com o presidente Joe Biden, alertam para uma das piores tempestades que o estado enfrentou em um século. Evacuações em massa estão em andamento, e um estado de emergência foi declarado em preparação para o que pode ser um evento histórico e devastador.
:strip_icc()/s02.video.glbimg.com/x720/12993941.jpg)
Furacão Milton: O Que Sabemos Até Agora
O furacão Milton se formou rapidamente no Atlântico e, em poucos dias, ganhou força, atingindo a categoria 5. Ventos violentos, que chegam a 260 km/h, e chuvas torrenciais ameaçam causar inundações, destruição de infraestruturas e quedas de energia em larga escala. A Flórida é o estado mais ameaçado, com as regiões costeiras especialmente vulneráveis a inundações severas e tempestades de maré.
/i.s3.glbimg.com/v1/AUTH_59edd422c0c84a879bd37670ae4f538a/internal_photos/bs/2019/C/F/d2OqMwQayx0bamfvS8ng/ap19249491941161.jpg)
As imagens de satélite da NASA mostram o olho do furacão perfeitamente formado, sinalizando a força da tempestade e sua capacidade destrutiva. A alta categoria do furacão Milton coloca em risco uma vasta área do estado, e a preocupação das autoridades é evitar uma catástrofe humanitária.

Declaração de Emergência e Evacuações
Diante da gravidade da situação, o governador da Flórida declarou estado de emergência em diversas áreas, e as autoridades estão coordenando evacuações em grande escala. As zonas costeiras, que provavelmente serão as mais atingidas, já estão sendo evacuadas, com abrigos temporários sendo organizados em regiões mais seguras.

O presidente Joe Biden emitiu um comunicado alertando sobre a severidade do furacão e solicitando a total cooperação dos cidadãos com as orientações das autoridades locais. Biden afirmou que “o furacão Milton pode ser um dos piores a atingir a Flórida em 100 anos”, destacando o caráter excepcional dessa tempestade.
Preparativos e Alertas
As autoridades meteorológicas e de defesa civil estão em alerta máximo e recomendam que a população siga todas as instruções de evacuação e segurança. Com ventos de altíssima velocidade e a ameaça de chuvas intensas, há uma grande preocupação com enchentes, deslizamentos de terra e danos estruturais generalizados. As equipes de resgate e apoio estão se mobilizando para lidar com possíveis desastres, e materiais de socorro, como água, alimentos e medicamentos, já estão sendo distribuídos nas áreas em risco.
Impacto Potencial
A Flórida é um estado acostumado a furacões, mas a categoria 5 de Milton coloca a tempestade em um nível raramente visto. As tempestades de categoria 5 são conhecidas por causarem destruição massiva, incluindo o rompimento de telhados, a destruição total de casas e a derrubada de árvores e linhas de transmissão. Além disso, o aumento do nível do mar e as tempestades de maré podem agravar ainda mais a situação nas áreas costeiras.
Milhares de residentes já estão deixando suas casas, e as áreas turísticas, que normalmente estariam lotadas nessa época do ano, estão sendo evacuadas em um esforço para evitar grandes perdas de vidas humanas.
Conclusão:
O furacão Milton promete ser uma das tempestades mais devastadoras a atingir a Flórida em décadas. Com ventos poderosos, chuvas torrenciais e a possibilidade de grandes inundações, as autoridades estão tomando todas as precauções para proteger a população. A próxima noite será decisiva, e espera-se que a tempestade traga consigo grandes desafios para a região. A população da Flórida deve seguir as orientações oficiais e se preparar para enfrentar os efeitos desse furacão histórico.






